Sremski Karlovci - Centar

Sremski Karlovci - Ešikovac

  • Broj prostorija: 0.0
  • Cena po m2: 0 €/m2
  • Površina: 0 m2
PRODAJA

330,880 €

Opis nekretnine

  • Šifra nekretnine : 20650
  • Površina : 0 m2
  • Cena : 330,880 €
  • Cena po m2 : 0.00 €/m2
  • Grad : Sremski Karlovci
  • Lokacija : Centar

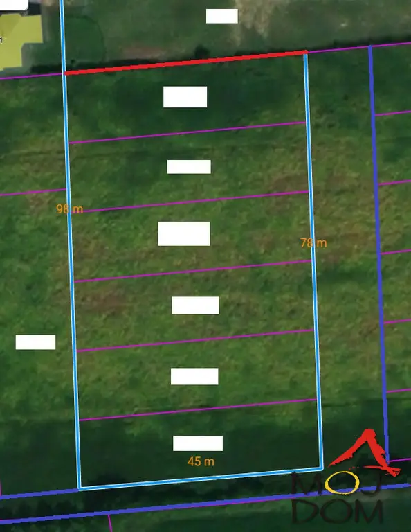
Prodajemo plac koji se satoji od dve parcele ukupne površine 8031m2. Plac je pod blagim nagibom, front 40-50 metara. Ima lep pogled na S. Karlovce, struja pored placa. Prilaz placu je lokalni put a od asfalta je udaljen oko 800m. Skica približno dimenzijama. Informacije na broj telefona: 065 385 88 81, Irena. www.status-nekretnine.com A57-20650.

SLIČNE NEKRETNINE

Sremski Karlovci Centar

332,000 €

Sremski Karlovci-Osunčan Veliki Plac 3,2 Hektara sa Pogledom za Uživanje-065/385 8880…

  • 10 €/m2
  • 32234 m2

Sremska Kamenica Rakovac

336,700 €

Novi Sad,Rakovac-SALAKSIJE ,ODLIČAN GRAĐEVINSKI PLAC POGODAN ZA IZGRADNJU BOLNICE ILI DOMA ZA STARE. (Bomil nekretn…

  • 51 €/m2
  • 6577 m2

Divoš, 13945m2. Zemljište u građ

330,500 €

Divoš, 13945m2. Zemljište u građevinskom području - za turistički kompleks. …

  • 24 €/m2
  • 13945 m2

Žabalj Žabalj

339,000 €

Parcela 10975 m2 na putu Žabalj-Đurđevo za Biznis-065/385 8880…

  • 31 €/m2
  • 10975 m2

Na izuzetno atraktivnoj i perspekti

326,350 €

Na izuzetno atraktivnoj i perspektivnoj lokaciji, na relaciji Petrovaradin–Bukovac, u neposrednoj blizini samog naselja, nalaze se odlično pozicion…

  • 93 €/m2
  • 3520 m2

Sremski Karlovci Centar

330,880 €

Sremski Karlovci - Ešikovac…

  • 0 €/m2
  • 0 m2