Inđija - Čortanovci

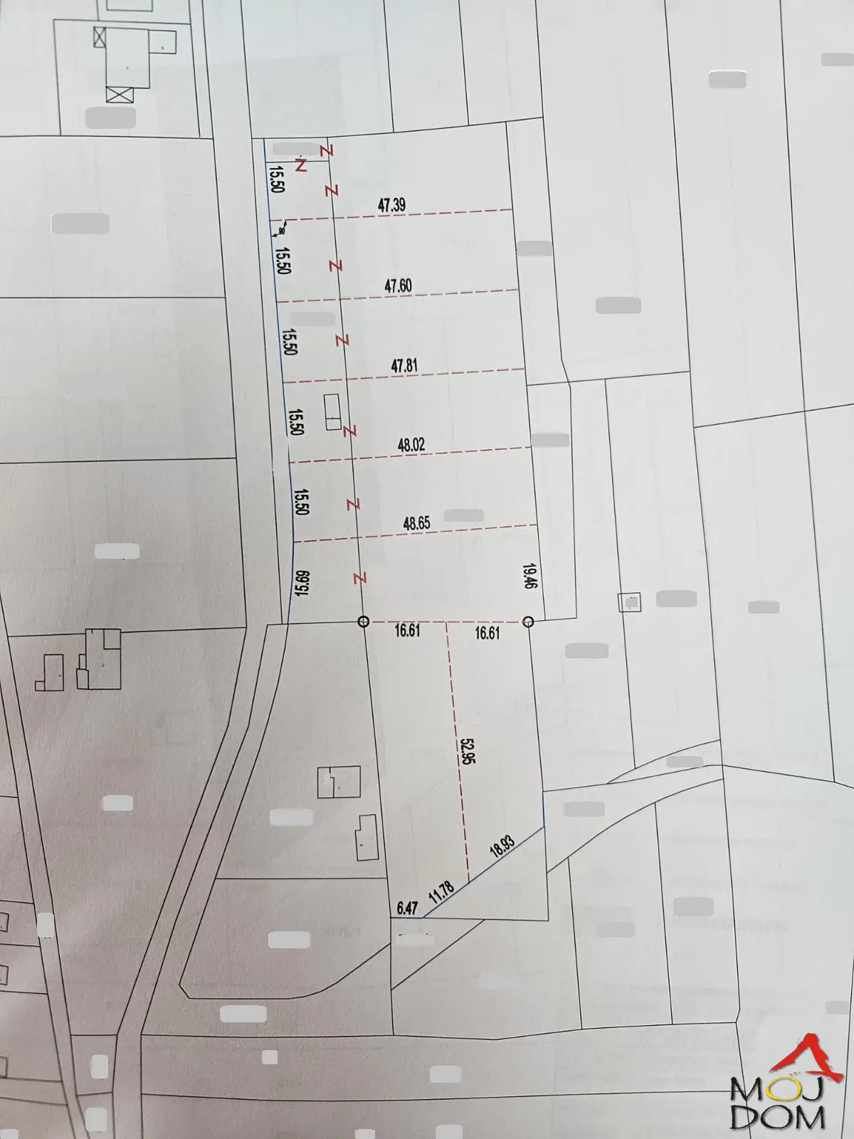
Čortanovci, parcela 21.973m2 potez Jerteniš, 100m od glavnog puta, skretanje desno na raskrsnici za Vilu Stanković. Donji deo parcele obradivo zemljište, središnji deo pod nagibom ( nekada je tu bio vrhunski vinograd ). Gornji deo parcele vikend

  • Broj prostorija: 0.0
  • Cena po m2: 5 €/m2
  • Površina: 21973 m2
PRODAJA

103,000 €

Opis nekretnine

  • Šifra nekretnine : 7000392
  • Površina : 21973 m2
  • Cena : 103,000 €
  • Cena po m2 : 4.69 €/m2
  • Grad : Inđija
  • Lokacija : Čortanovci

Čortanovci, parcela 21.973m2 potez Jerteniš, 100m od glavnog puta, skretanje desno na raskrsnici za Vilu Stanković. Donji deo parcele obradivo zemljište, središnji deo pod nagibom ( nekada je tu bio vrhunski vinograd ). Gornji deo parcele vikend zona okruženo vikendicama ( uglavnom kuće u kojima se živi cele godine ), voda i struja na 20m od placa. Do placa tucanik. Sunčana strana sa pogledom na dolinu. Za sve dodatne informacije kontaktirajte nas: 063304062 Šifra: 7000392 (Moj Dom nekretnine, Novi Sad, Reg.br. 174)

SLIČNE NEKRETNINE

Inđija Inđija

103,000 €

Banstol-Veeliki Ravan Građevinski Plac 7000 m2 u Zelenom kraju-065/385 8880…

  • 15 €/m2
  • 7067 m2

Na izuzetno atraktivnoj i perspekti

108,900 €

Na izuzetno atraktivnoj i perspektivnoj lokaciji, na relaciji Petrovaradin–Bukovac, u neposrednoj blizini samog naselja, nalaze se odlično pozicion…

  • 93 €/m2
  • 1174 m2

Žabalj Žabalj

102,900 €

Žabalj - Okolina - parcela 9946m2 - Zrenjaninski put…

  • 10 €/m2
  • 9990 m2

Inđija Inđija

105,000 €

Voćnjak pod trešnjama…

  • 0 €/m2
  • 0 m2

Petrovaradin (Novi Sad) Puckaroš

99,000 €

Nudimo vam atraktivno pozicionirane parcele na lokaciji Puckaroš - Širine u Petrovaradinu, idealne za izgradnju kuća ili manjih stambenih objekata.…

  • 104 €/m2
  • 954 m2

Sremska Kamenica Rakovac

105,000 €

Rakovac, Stošin Do. GRAĐEVINSKI PLAC NA PRODAJU - 2503m2! Širok, ravan plac u građevinskoj zoni, uknjižen 1/1. Plac se nalazi u blizini Manastira…

  • 42 €/m2
  • 2503 m2